Das Angebot von axmann geoinformation an Service-Leistungen für Geodaten reicht von der Beschaffung über das Aktualisieren und Migrieren bis hin zum Analysieren. Ein weiteres Dienstleistungs-Segment des Unternehmens ist das Überführen analoger Plangrundlagen in digitale Datensätze, so geschehen mit LWL-Kabel für den VERBUND, Österreichs führendem Stromunternehmen und einem der größten Erzeuger von Strom aus Wasserkraft in Europa, in einem aktuellen Projekt.
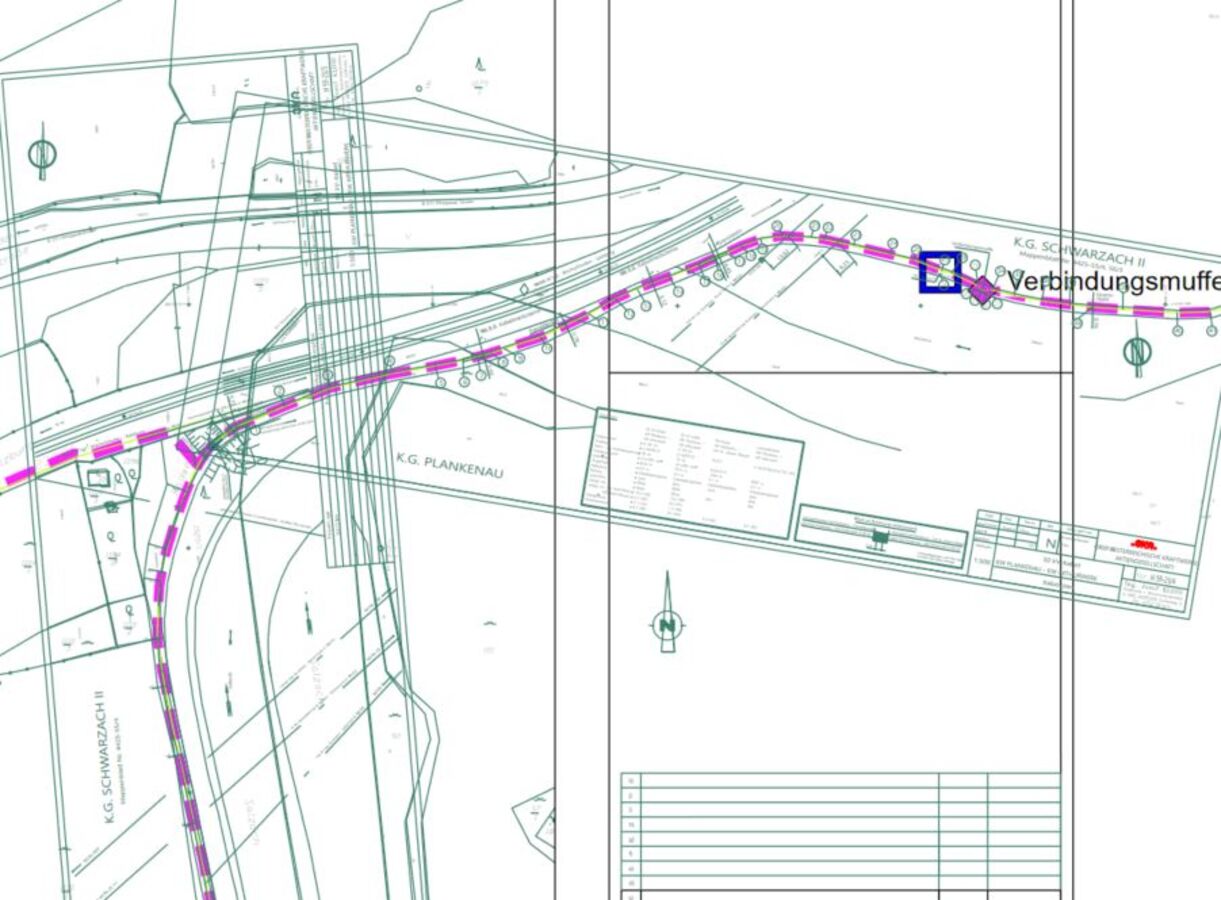
Dabei wurden auf Basis unterschiedlicher Planunterlagen LWL-Kabel mit Einbauten im Bereich Salzburg/Kaprun digitalisiert. Die Plangrundlagen wurden vom VERBUND als Scans (PDF) und als AutoCAD-DWG-Dateien zu Verfügung gestellt.
Vom Plan zum umfassenden Datensatz
Im ersten Schritt wurden die analogen Pläne in tiff-Dateien umgewandelt und anhand von Hektarmarken und Mappenblattschnitten georeferenziert. Dabei wurden auch nicht-lagerichtige DWG-Dateien an das richtige Bezugssystem angepasst.
Die Mitarbeiter von axmann integrierten nun die georeferenzierten Pläne in rmDATA GeoDesktop zur Digitalisierung in eine Geo-Datenbank mit der GIS-Datenstruktur von VERBUND. Erfasst wurden LWL-Kabel, LWL-Muffen, Kabelschächte und Kabelrohre.
Gleichzeitig dokumentiert axmann eventuelle Unklarheiten, wie unterschiedliche Kabellagen in überlagernden Plänen, Übergänge von einem Plan zum angrenzenden Plan, etc. stets nachvollziehbar für den Auftraggeber.
Nach Einarbeitung der Rückmeldungen und Freigabe durch den Auftraggeber wurden die Daten in das WebGIS von VERBUND übernommen. Andreas Florian ist Sachbearbeiter für Telekommunikation bei VERBUND und er war für die Integration der analogen Pläne in das GIS verantwortlich: „Die Zusammenarbeit mit axmann hat bestens funktioniert, wir waren sehr zufrieden mit der Dienstleistung. Die Datensätze wurden immer rasch geliefert.“
Mehrwert aus intelligenten Objekten
Aus nicht zusammenhängenden Informationen in einzelnen Papier- oder CAD-Plänen entstanden in diesem Projekt intelligente, digitale Objekte, die nun im Nachgang von den zuständigen VERBUND-Mitarbeitern mit zusätzlichen Sachdaten aufgewertet werden.
Mit dieser Dienstleistung steht den Bearbeitern der zuständigen Fachgruppe bei VERBUND ein vollwertiger GIS-Datenbestand in einer einheitlichen Bearbeitungsumgebung zur Verfügung.
Wollen auch Sie Ihre analogen Pläne und Datensätze in digital zusammenhängende Informationen überführen, um Sie immer und überall zum Beispiel in einem WebGIS zu nutzen?




